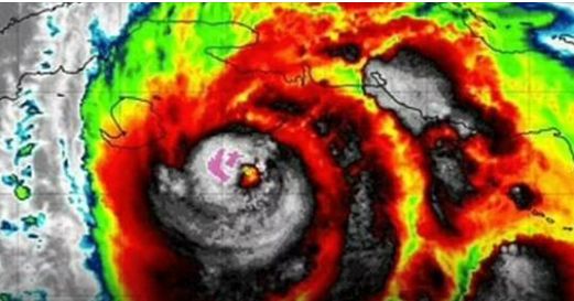
Hurricane Rafael set to hit the US – here’s the projected path

From there, experts predict Rafael will emerge into the southeastern Gulf of Mexico tonight as a hurricane.Tropical storm conditions are anticipated in Florida Keys, with the National Hurricane Center (NHC) issuing a warning to residents.
Americans have been advised to secure loose outdoor objects due to strong winds and flooding. AccuWeather Senior Meteorologist Bill Deger said that small changes in Rafael’s strength and the winds around it can make a big difference in where it goes next.
The storm gets a bit stronger or if the winds that push it change direction, its path could shift
Storm Rafael was upgraded to a Category 2 hurricane today and could make landfall anywhere from the Texas coast to the Florida Panhandle.